Click on a Regional Map below to see it in an image viewer

Jump to County Maps
Jump to Village Maps

Croatia
1855 Regional Map with Croatia, Slavonia & Serbia
Overview
Military Mapping Survey
Hungary 1851
Hungary 1851

1832 Austrian Empire

German Settlement Areas - Hungary 1920

German Settlements Areas - Rumania
Modern Day Banat
Modern Day Banat Area Map

Click on a County below to see it in an image viewer

Jump to Regional Maps
Jump to Village Maps

County Maps

 

Click on a Village Map below to see it in an image viewer

Jump to Regional Maps
Jump to County Maps

Albrechtsflor
Albrechtsflor
Gross-Betschkerk
Gross-Betschkerek
Engelsbrunn
Engelsbrunn
Ernsthausen
Ernsthausen
Lands Surrounding Ernsthausen
Ernshausen Surrounding Lands
Heufeld
Franzfeld
Hatzfeld
Hatzfeld
Heufeld
Heufeld
Jarek Village Map
Jarek

Josefsdorf
Klek
Klek

Mastort
Mastort
Molidorf
Molidorf
Rudolfsgnad
Rudolfsgnad

Ruskodorf
Ruskodorf

Setschan
Setschan
Sekitsch
Sekitsch
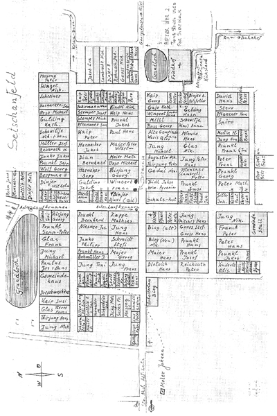
Setchanfeld
Setschanfeld
St Hubert
St. Hubert
St, Hubert Sorrounding Area
Area Surrounding St. Hubert
Stefansfeld
Stefansfeld
Zichydorf
Zichydorf